Alright, folks, buckle up. If you’re watching the news, scrolling social media, or just listening to the wind outside your window, you know what’s happening. Hurricane Melissa isn’t just threatening Jamaica; she’s here, making her presence brutally felt across the island. This isn’t a drill, and the situation is evolving minute by minute. We’re here to give you a live pulse on what’s going down.
Melissa’s Ferocious Grip
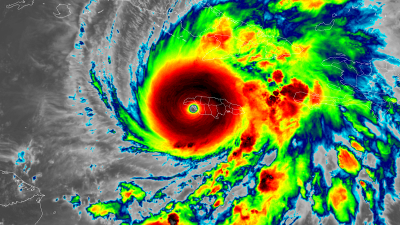
The eye of Hurricane Melissa is currently sweeping over significant parts of Jamaica, bringing with it a terrifying combination of extreme winds and torrential rain. Reports are pouring in of trees snapping like twigs, power lines crashing, and coastal areas facing a relentless assault of storm surge. This isn’t just heavy weather; it’s a powerful Category 3 storm unleashing its full fury. The wind howls are piercing, and the sheer volume of water being dumped on the island is causing rapid-onset flooding in low-lying and urban areas alike. Infrastructure is under immense stress, and communication lines are becoming increasingly challenging to maintain in some regions.
On the Ground: Stories of Resilience and Danger
From Kingston to Montego Bay, and all the communities in between, Jamaicans are hunkering down. We’re seeing brave acts of community spirit, but also significant challenges. Power outages are widespread, plunging vast sections of the island into darkness. Homes are being buffeted, and the sound of rain drumming against roofs is relentless. Shelters across the island are packed, providing refuge for thousands, though reaching them has been a perilous journey for many. Emergency services are stretched thin, responding to calls where and when it’s safe to do so.
One resident from Portmore, who managed to get a brief message out, shared their experience: “It’s just… incredible. The wind sounds like a freight train, and water is coming in under the doors despite everything we’ve done. We’re safe for now, but the waiting is the hardest part. Just praying for everyone.” This sentiment echoes across the island, a mix of fear and an unwavering spirit of hope. Roads are becoming impassable due to flooding and debris, making travel extremely dangerous, if not impossible.
Staying Safe and Looking Ahead
Right now, the absolute priority is safety. If you are in Jamaica, please, stay indoors and away from windows. Do not venture outside for any reason unless it’s an absolute life-threatening emergency. Listen to local authorities for updates and instructions. If you’ve lost power, conserve battery on your devices and use them sparingly for essential communication. Even after the eye passes, the storm’s tail can bring dangerous conditions, and flash flooding remains a major concern.
The immediate aftermath will be challenging. Recovery efforts will require immense cooperation and resources. For those outside Jamaica, keep checking on friends and family through safe communication channels. Every moment brings new information, and we’ll continue to track Melissa’s path and its impact. Our thoughts are with everyone on the island facing this terrifying natural event. Stay vigilant, stay safe, and remember that solidarity in times like these is our greatest strength.




